조황관리HOME / 조황관리 / 상세정보

제목 : 2025.11.22 9물 토요일 빅토리호 우럭 조황입니다
등록일 : 2025-11-22



안녕하세요
오늘은 아주아주 오랜만에
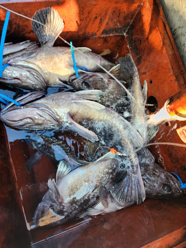
우럭들 얼굴 좀 보러 다녀왔습니다 ㅎㅎ

살이 바짝 올라서 오동통한 친구들이 보이네요ㅎㅎ

갑오징어 시즌 마무리되면 우럭들 찾아나설 예정이니
많은 관심 부탁드립니다^^

오늘 찾아주신 조사님들 추운 날에 고생 많으셨습니다!!

KakaoTalk_20251122_201848132.jpg


KakaoTalk_20251122_201848132_01.jpg


KakaoTalk_20251122_201848132_02.jpg


KakaoTalk_20251122_201848132_03.jpg


KakaoTalk_20251122_201848132_05.jpg




*** 백사장항 빅토리호 예약 안내 ***


예약문의 : 010-3094-7787

오시는길 : 충남 태안군 안면읍 백사장2길 6-32 마린피싱

홈페이지 : https://victory.sunsang24.com/


모바일.jpg 


Top