조황관리HOME / 조황관리 / 상세정보

제목 : 11월22일 백사장 빅토리호 우럭 조황입니다
등록일 : 2025-11-22
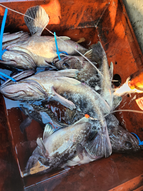
오래간만에 생미끼 우럭 다녀왔습니다
마리수는 많이 나오질 안았지만 
씨알이 좋은 개우럭들이 많이 나와주었습니다
손맛 제대로 보고 왔습니다
함께하신 조사님들 수고들 많으셨습니다


20251122_155351.jpg


20251122_155417.jpg


20251122_155448.jpg


20251122_155508.jpg


20251122_155553.jpg


20251122_155632.jpg


20251122_155657.jpg



======== 태안 빅토리호 예약안내 ==========

■ 예약문의 : 010-3094-7787
■ 오시는길 : 충남 태안군 안면읍 백사장2길 6-32 마린피싱
■ 실시간 예약 : http://popeyefishing.sunsang24.com
Top